Donner & Asociados

  • 322111162
  • ryan-donner-y-asociados.easybroker.com

Lotes residenciales en Quinta Azaleas, Loretta Campestre 20326

Loretta, Aguascalientes

$8,000 per m² For Sale

  • 176.69 m² Lot Size
  • EB-PI3740 ID
Description

Exclusivo condominio de 29 lotes, ubicado al norponiente de Aguascalientes, en la zona de mayor plusvalía de la ciudad. Rodeado de excelentes fraccionamientos y a poca distancia de avenidas principales, colegios y centros comerciales.

El fraccionamiento cuenta con:
Portón eléctrico
Caseta de vigilancia
Salón de usos múltiples
Chapoteadero
Areas verdes

Se venden 6 terrenos. Valor comercial de los terrenos: $8,000/m2

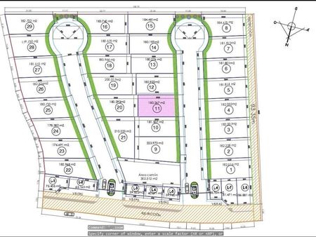
Lotes disponibles (ver croquis para ubicación):

Lote 5: 181.814 m2 , Precio: $ 1,454,512.00
Lote 15: 184.481 m2 , Precio: $ 1,475,848.00
Lote 17: 180.570 m2, Precio: $ 1,444,560.00
Lote 18: 180.966 m2, Precio: $ 1,447,728.00
Lote 25: 180.733 m2, Precio: $ 1,445,864.00
Lote 23: 176.691 m2, Precio: $ 1,413,528.00

Donner & Asociados

  • 322111162
  • ryan-donner-y-asociados.easybroker.com