Donner & Asociados

  • 322111162
  • ryan-donner-y-asociados.easybroker.com

TERRENOS EN RENTA EN CAMPECHE: AV. MAESTROS CAMPECHANOS

Multunchac, Campeche

$54,000 For Rent

  • 1,800 m² Lot Size
  • EB-NE3456 ID
Description

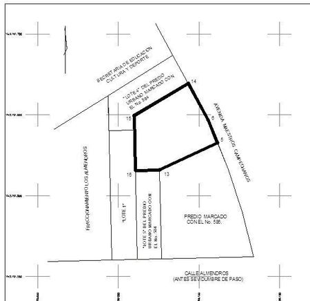
EL TERRENO CUENTA CON UNA SUPERFICIE DE 1800M2 Y TIENE UNA EXCELENTE UBICACIÓN. UBICADO EN AV. MAESTROS CAMPECHANOS #584 ENTRE CALLE JOSE MARIA MORELOS Y PAVON Y CALLE ALMENDROS, SECTOR MULTUNCHAC.
Condiciones:
-Pago de un mes de renta
-Deposito con valor de un mes de renta
-Contrato notariado por un año


ENG:

LAND FOR SALE – MULTUNCHAC SECTOR

The lot has a total surface area of 1,800 m² and an excellent location.
Address: Avenida Maestros Campechanos #584, between Calle José María Morelos y Pavón and Calle Almendros, Multunchac Sector.

Conditions:
-Payment of one month's rent
-Security deposit equivalent to one month's rent
-Notarized one-year lease agreement

Donner & Asociados

  • 322111162
  • ryan-donner-y-asociados.easybroker.com