Donner & Asociados

  • 322111162
  • ryan-donner-y-asociados.easybroker.com

Terreno Urbano en Lomas de Cuernavaca, Temixco, Morelos CAEN-960-Tu

Lomas de Cuernavaca, Temixco

$1,824,000 For Sale

  • 228.85 m² Lot Size
  • EB-NS6846 ID
Description

Terreno en Privada con Vigilancia – Entre Dos Ríos, Cuernavaca Sur

Ponemos a tu disposición el Lote 16, ubicado dentro de una privada con seguridad en un fraccionamiento al sur de Cuernavaca, una zona de alta demanda residencial y excelente conectividad.

Este terreno es ideal para construir una casa unifamiliar o como inversión patrimonial a mediano plazo.

 Detalles del terreno
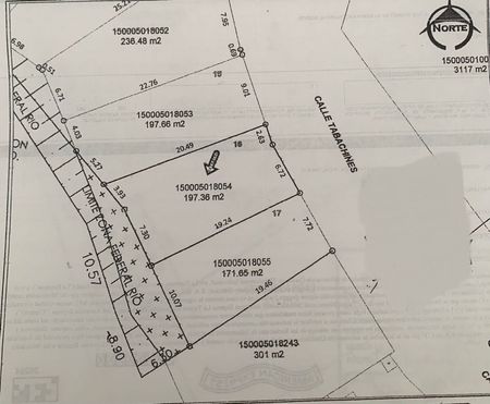
• Superficie total: 228.85 m²
- 197.36 m² escriturados en plano catastral
- 31.49 m² no escriturados, integrados físicamente en el predio
• Topografía: regular
• Ubicación: privada con acceso controlado
• Privacidad y seguridad: caseta de vigilancia
Servicios disponibles
• Energía eléctrica
• Agua potable
• Drenaje

Este terreno ofrece seguridad jurídica, entorno residencial consolidado y el respaldo de una comunidad organizada.
Ideal para quien busca tranquilidad y buena ubicación al sur de la ciudad.

Contáctanos para agendar una visita y conocer esta excelente opción.



*Precios y disponibilidad sujetos a cambios sin previo aviso. El precio expresado no contempla gastos de escrituración.



Si quieres conocer los lugares emblemáticos y mágicos de Morelos,
haz click en el siguiente link:

https://youtu.be/5Yhb_XChByk

No. de registro de contrato de adhesión 2118-2023

Amenities
  • Private housing development
  • 24 Hour Security

Donner & Asociados

  • 322111162
  • ryan-donner-y-asociados.easybroker.com

Donner & Asociados

  • 322111162
  • ryan-donner-y-asociados.easybroker.com