Donner & Asociados

  • 322111162
  • ryan-donner-y-asociados.easybroker.com

Terreno Gobernadores

Vicente Guerrero, Cuernavaca

$11,000 per m² For Sale

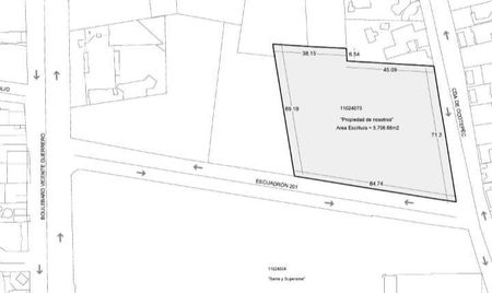
  • 5,706 m² Lot Size
  • EB-NA4335 ID
Description

ATENCIÓN INVERSIONISTAS

¡Terreno frente a Sam's Cuernavaca!
T 5,706 mts
$11,000.00 mt2
Uso de suelo comercial

Nota importante: Toda la información y medidas provistas son aproximadas, deberán ratificarse con la documentación pertinente y no compromete contractualmente a nuestra empresa. Los gastos expresados refieren a la última información recabada y deberán confirmarse. Fotografías no vinculantes ni contractuales. El precio de venta no incluye gastos de escrituración y puede cambiar sin previo aviso.

Donner & Asociados

  • 322111162
  • ryan-donner-y-asociados.easybroker.com