Donner & Asociados

  • 322111162
  • ryan-donner-y-asociados.easybroker.com

Terreno en venta

Komchen, Mérida

$2,002,000 For Sale

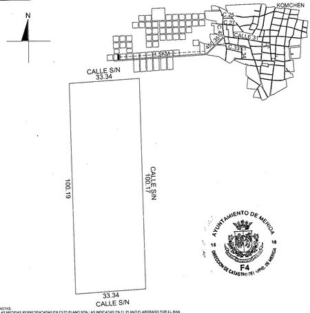
  • 3,336.95 m² Lot Size
  • 100.19 m Lot Length
  • 33.34 m Lot Width
  • EB-RR3157 ID
Description

Terreno en venta en esquina sobre carretera, ubicado en Komchen sobre la carretera Yaxché - Papacal a 800 metros de la Privada Lakuum

Terreno con una superficie de 3,336.95

Frente de 33.34
Fondo de 100.19

El terreno es propiedad privada

Energía electrica CFE pasa sobre el terreno solo se tiene que hacer el contrato correspondiente.

En conformidad a lo establecido en la NOM-247-2021 el precio total reflejado se ve determinado en función de los montos variables de conceptos notariales y de crédito, dichos importes deberán ser consultados con la inmobiliaria o por medio de sus consultores.
** La responsabilidad y cumplimiento de garantía es a cargo del propietario.
** Los gastos notariales son un gasto adicional al precio publicado y dependerán del notario que se elija.
** El costo del avalúo es responsabilidad de la parte compradora.
** Los gastos administrativos corren a cuenta del comprador.
** Los impuestos deberán ser pagados según correspondan a cada una de las partes.
**Precios sujetos a cambio sin previo aviso

Donner & Asociados

  • 322111162
  • ryan-donner-y-asociados.easybroker.com