Donner & Asociados

  • 322111162
  • ryan-donner-y-asociados.easybroker.com

TERRENO INDUSTRIAL EN SAHE CARRETERA MERIDA, CANCUN, TEYA, YUCATAN.

Sahé, Tixpéhual

$400 For Sale

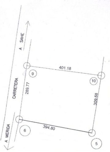
  • 56,140 m² Lot Size
  • 401.18 m Lot Length
  • 140 m Lot Width
  • EB-PL0899 ID
Description

Fabuloso terreno ubicado a unos metros de la comisaría de Sahé a menos de 900 m de la carretera federal 180 Mérida-Cancún.
Con gran accesibilidad desde el periférico de Mérida (14.5KM), a 5 minutos de la Hacienda Teya (9.4KM) , casi en frente de la estación actual del tren Maya, CEDIS de Walmart (11.2 KM) plantas como la procesadora de Kekén; Aeropuerto de Mérida (31.5 km); retorno para cambio de dirección a 655m; parada de autobús a 650m; Puerto Progreso a 56.2 km.
De uso agrícola recientemente, cuenta con varios permisos que facilitan los trámites para diferentes usos como bodegas industriales, de almacenamiento ó cualquier giro que se le quisiera dar.

* SOBRE CARRETERA PAVIMENTADA Y ALUMBRADO PUBLICO.
*2 TRANSFORMADORES DE 25 kva DE 110V Y 220V.
* POZO DE AGUA DE 30M CON 12 " CON PERMISO DE CONAGUA PARA 30 AÑOS.
*CASA DE MAMPOSTERÍA PARA VELADOR DE 42M2.
* AREA DE BAÑOS CON CONSTRUCCIÓN DE MAMPOSTERIA DE 12M2.
*BODEGA U OFICINA CON CONSTRUCCIÓN DE 117M2
*CERCA PERIMETRAL MAYA CICLONICA.
*50% DEL AREA TOTAL SE ENCUENTRA SEMI NIVELADA.
*ESCRITURA PUBLICA CON UN SÓLO DUEÑO.

PERMISOS CON LOS QUE CUENTA:
**AUTORIZACION INAH.
**TITULO DE CONCESION DE APROVECHA MIENTO DE AGUA SUBTERRANEA OTORGADO POR CONAGUA.
** CONVENIO CFE-SAGARPA- 90% SUBSIDIO.
** AUTORIZACIÓN DE COMISARÍA DE SAHÉ PARA DESMONTE.

Donner & Asociados

  • 322111162
  • ryan-donner-y-asociados.easybroker.com