Donner & Asociados

  • 322111162
  • ryan-donner-y-asociados.easybroker.com

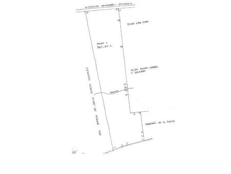
TERRENO DE 560 HAS EN CARRETERA REYNOSA

PEMEX, Cadereyta Jiménez

$112,000,000 For Sale

  • 560.7 ha Lot Size
  • EB-DS9043 ID
Description

Área del Lote: 560.67 Hectáreas

Precio: $20.00 Pesos MN por metro cuadrado

Detalles:
• Terreno ubicado en la carretera libre Monterrey-Reynosa, 2 frentes uno con la Autopista de cuota y otro la carretera libre.
Pasando la refineria de Cadereyta
• Tiene 1,250 mts de frente hacia la autopista Monterrey - Reynosa y 1,200 mts de frente hacia la carretera libre Monterrey - Reynosa
• Cuenta con corriente eléctrica.
• Tres pozos de agua con Papalote cada uno.
• Una Presa.

NELLY FUENTES
8110772737
www.nfinmuebles.com
"CONFIANZA Y EXPERIENCIA QUE GENERAN RESULTADOS"

Donner & Asociados

  • 322111162
  • ryan-donner-y-asociados.easybroker.com