Donner & Asociados

  • 322111162
  • ryan-donner-y-asociados.easybroker.com

Lote residencial Chicxulub Pueblo, junto a Quintas Baspul

Chicxulub, Chicxulub Pueblo

$900,000 For Sale

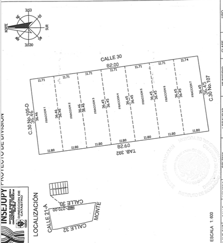
  • 428 m² Lot Size
  • 35 m Lot Length
  • 11.71 m Lot Width
  • EB-QJ5071 ID
Description

Ultimo lote residencial de oportunidad!
 en venta en Chicxulub Pueblo, junto al hermoso fraccionamiento Quintas Baspul, rodeado de zonas verdes, arboles, senderos para caminar con fuentes de agua.
Ideal para construir una residencia o para inversión.
Se encuentran junto al fraccionamiento Quintas Baspul (casas tipo quinta de alto precio) en la entrada del Pueblo de Chicxulub.
El entorno es muy bonito y lleno de tranquilidad, con todos los servicios a la mano.
La plaza la Isla y City Center está a solo 17 minutos.

El lote mide 428 m2 (11.71 metros de frente por 35 m de fondo), cuenta con una demasía de 90 metros. O sea se entrega la posesión de 520 m2 aproximadamente.

El acceso es muy cómodo, ya que está a 10 minutos de Mérida por la nueva carretera Mérida-Chicxulub y a 10 minutos de la Playa. Todo esto sin pasar topes ni poblados.

Se entrega con calle Pavimentada,
Disponibles No. 105F

Título de propiedad y papeles en regla.
Aceptamos un esquema de 3 pagos. y escuchamos tu oferta

Precio de Oportunidad.
Disponibilidad y precios pueden variar sin previo aviso.

Donner & Asociados

  • 322111162
  • ryan-donner-y-asociados.easybroker.com

Donner & Asociados

  • 322111162
  • ryan-donner-y-asociados.easybroker.com