Donner & Asociados

  • 322111162
  • ryan-donner-y-asociados.easybroker.com

Casa Rosa Centro Merida para remodelar

Mérida Centro, Mérida

$1,600,000 For Sale

  • 2 Bedrooms
  • 2 Bathrooms
  • 95 m² total space
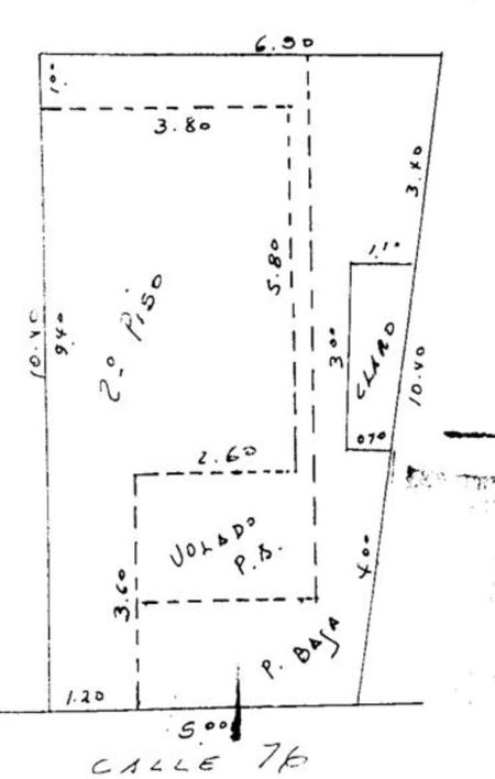
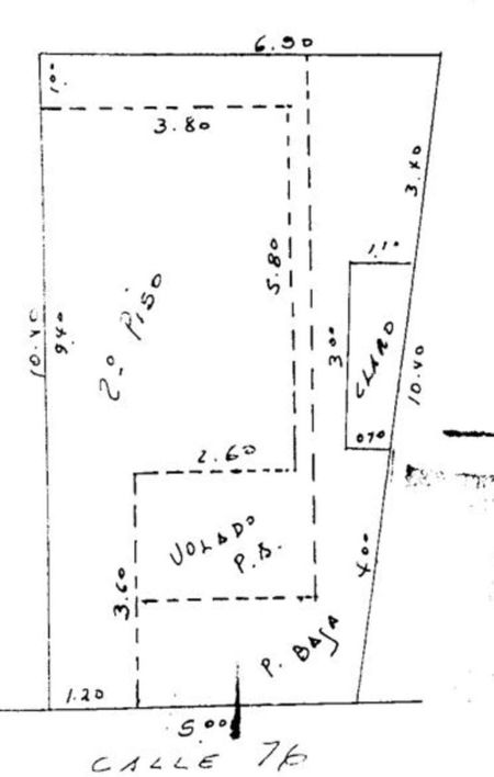
  • 55 m² Lot Size
  • 10.4 m Lot Length
  • 5 m Lot Width
  • 2 Floors
  • EB-PR6734 ID
Description

Ubicada en el centro de Mérida, encontraras Casa Rosa ideal para remodelar vivir, dar en rentas largas o airbnb.
Se encuentra en terreno irregular 5 mts de frente por 10.40 mts de fondo. Una recamara en planta baja, cocina, recamara en planta alta con baño completo.

Amenities
  • Balcony
  • Street parking

Donner & Asociados

  • 322111162
  • ryan-donner-y-asociados.easybroker.com

Donner & Asociados

  • 322111162
  • ryan-donner-y-asociados.easybroker.com